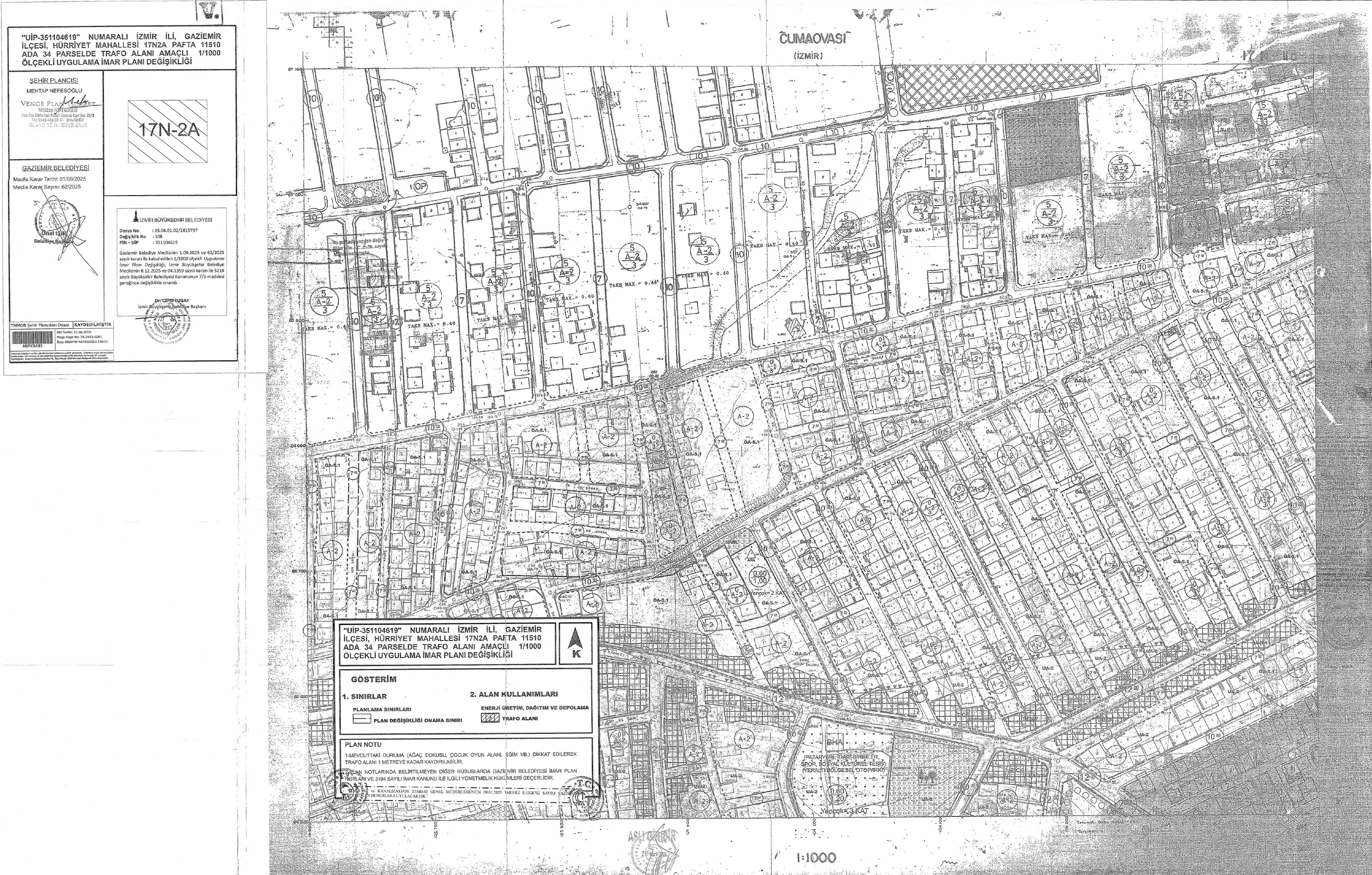
Gaziemir İlçesi, Atıfbey Mahallesi sınırları içerisinde bulunan 11510 ada, 34 parselde maliye hazinesi mülkiyetinde kalan alanda 3.76m. x 6.22m. boyutlarında 1 adet Trafo Alanı belirlenmesine ilişkin hazırlanan Bakanlığın UİP-351104619 plan işlem numaralı 1/1000 ölçekli Uygulama İmar Planı Değişikliği.

Gaziemir İlçesi, Atıfbey Mahallesi sınırları içerisinde bulunan 11510 ada, 34 parselde maliye hazinesi mülkiyetinde kalan alanda 3.76m. x 6.22m. boyutlarında 1 adet Trafo Alanı belirlenmesine ilişkin hazırlanan Bakanlığın UİP-351104619 plan işlem numaralı 1/1000 ölçekli Uygulama İmar Planı Değişikliği.