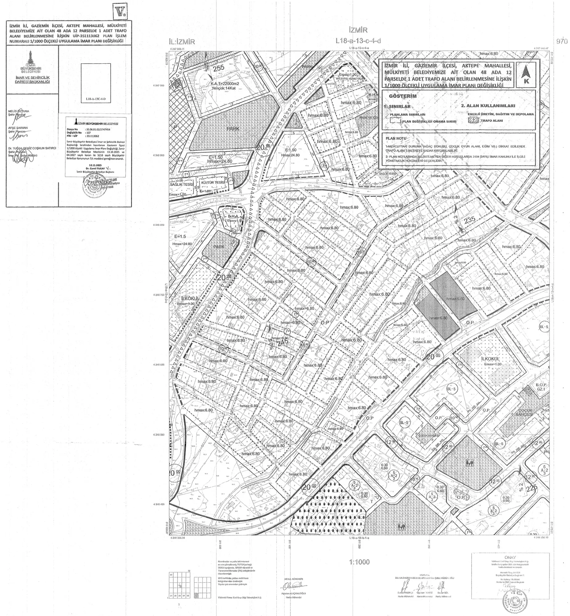
5216 sayılı Büyükşehir Belediyesi Kanunu’nun 7/c maddesi gereğince, İzmir Büyükşehir Belediye Meclisi’nin 13.10.2025 tarih ve 97509404.105.04.1027 sayılı kararı ile onanan 1/1000 ölçekli Uygulama İmar Planı Değişikliği
Yayın Tarihi
23 Aralık 2025
5216 sayılı Büyükşehir Belediyesi Kanunu’nun 7/c maddesi gereğince, İzmir Büyükşehir Belediye Meclisi’nin 13.10.2025 tarih ve 97509404.105.04.1027 sayılı kararı ile onanan 1/1000 ölçekli Uygulama İmar Planı Değişikliği